Ë®¿âйºé¹µÓ²»¯¹¤³ÌÊ©¹¤Í¼Ö½
  • ×ÊÁϵȼ¶£º
  • ÊÚȨ·½Ê½£º×ÊÁϹ²Ïí
  • ·¢²¼Ê±¼ä£º2022-05-30
  • ×ÊÁÏÀàÐÍ£ºRAR
  • ×ÊÁÏ´óС£º62.2 MB
  • ×ÊÁÏ·ÖÀࣺˮÀûͼֽ
  • ÔËÐл·¾³£ºWinXp,Win2003,WinVista,Win ;
  • ½âѹÃÜÂ룺civilcn.com
Ë®¿âйºé¹µÓ²»¯¹¤³ÌÊ©¹¤Í¼Ö½
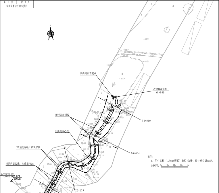
Ë®¿âйºé¹µÓ²»¯¹¤³ÌÊ©¹¤Í¼Ö½°üÀ¨£ºÆ½Ãæ²¼ÖÃͼ¡¢×ݶÏÃæÍ¼¡¢³ÄÆö±ê×¼¶ÏÃæÍ¼¡¢¿ÓÌÁµ²Ç½»¤°¶½á¹¹Í¼¡¢ÒçÁ÷°Ó½á¹¹Í¼¡¢ÒçÁ÷°ÓÏûÁ¦³ØÅä½îͼ¡¢ÒçÁ÷°Ó½á¹¹Í¼¡¢ÒçÁ÷°ÓÏûÁ¦³ØÅä½îͼ¡¢½øË®º­×ÝÆÊÊÓͼ¡¢Æ½ÃæÍ¼¡¢½øË®º­Ï¸²¿½á¹¹Í¼¡¢Ð¹ºé¹µ²àÏòÅÅË®½á¹¹Í¼µÈ¡£


Èí¼þ½ØÍ¼
  • Ë®¿âйºé¹µ,Ó²»¯¹¤³Ì,Ë®¿âÊ©¹¤Í¼
  • Ë®¿âйºé¹µ,Ó²»¯¹¤³Ì,Ë®¿âÊ©¹¤Í¼
  • Ë®¿âйºé¹µ,Ó²»¯¹¤³Ì,Ë®¿âÊ©¹¤Í¼